沼津市下香貫売地

土地(売土地)

沼津市下香貫売地

沼津市(県道414号線沿い)359坪の売地!解体更地渡し

土地 おすすめ
物件公開日: 2025年08月28日 / エリア: 沼津市
  • ポイント

    県道沿いなので、店舗等に適しております。*現況での引き渡しの場合は要相談

    都市計画道路有

     

     

  • 7,180万円
    土地物件名・区画番号 沼津市下香貫売地
    物件番号
    交通
    • JR東海道本線/沼津駅 [バス]20 八間町バス停から 徒歩1 沼津駅より車で11分
    学区校
    • 沼津市 第三中学校
    • 沼津市 第三小学校
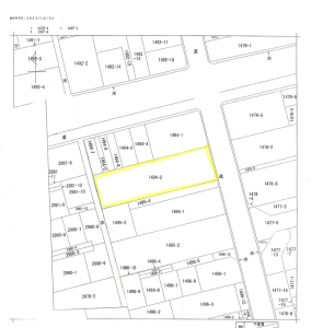
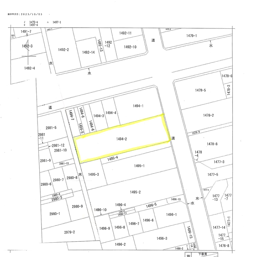
    所在地 静岡県沼津市下香貫1494-2
  • 費用

    価格 7,180万円
    土地権利 所有権
  • 物件概要

    土地面積 1,186.77m2 (公簿)
    登記地目 宅地
    地勢 平坦
    都市計画 市街化区域
    用途地域 第1種住居地域
    建ぺい率 60
    容積率 200
    最適用途 店舗用地
    国土法届出 不要
    造成完了年月 2025 8
    法令上制限等 都市計画道路にかかっている部分については、建築できる建物の高さ、構造等に制限があります。
    その他概要・特記事項 用途地域は、第一種住居地域、第二種住居地域の2つにまたがっております。
    現況 上物有(古家付き)

    引渡  相談

    各種設備等 水道(公営)/排水(浄化槽)/プロパンガス/電気
    取引態様 一般
    備考 店舗、古家あり